Amenaza Tifón Yutu, de categoría 5, a Filipinas
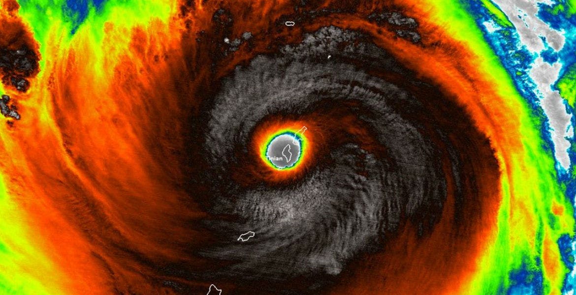
Manila, 29 Oct.- La costa norte de Filipinas fue declarada hoy en alerta ante el avance del tifón Yutu, que se espera toque tierra este martes a primera hora con fuertes lluvias y vientos máximos de 185 kilómetros por hora (k/h).
La Agencia Meteorológica de Filipinas (PAGASA, por sus siglas en inglés) alertó que Yutu avanza esta noche (tiempo local) al norte filipino, a una velocidad de 15 km/h, por lo que se prevé que toque tierra en la isla Luzón la primera hora del martes
“Se espera que el tifón Rosita tocara tierra en el sur de Isabela y el norte del área de Aurora el martes, entre las 05:00 y las 07:00 horas locales”, destacó la PAGASA, utilizando el nombre con el que Yutu es conocido en Filipinas.
En un breve comunicado, la Agencia destacó que las fuertes lluvias que trae consigo el tifón, podrían causar inundaciones y deslizamientos de tierra en el norte de Filipinas, aunque también traerá vientos destructivos e inundaciones por su marejada ciclónica.
PAGASA destacó que Rosita ha mantenido su fuerza, mientras seguía amenazando el área de Isabela, al sur de Aurora, donde este lunes ya se dejaron sentir lluvias de moderadas a intensas, según reporte de la cadena filipina ABS-CBN.
De acuerdo con la información, los residentes en estas áreas fueron advertidos de posibles inundaciones, de hasta tres metros de alto, y deslizamientos de tierra en las áreas costeras de Isabela, Cagayan, Aurora, Ilocos Sur, Ilocos Norte y La Unión.
El tifón Yuku, cargado con vientos máximos sostenidos de 150 kilómetros por hora (kph) y ráfagas de hasta 185 kph, mantiene también en alerta las comunidades de Quirino, Aurora del Norte, Nueva Vizcaya, Ifugao, Benguet y Pangasinan.
PAGASA pidió la evacuación de todas las áreas bajas, las comunidades cercanas a ríos y en lugares montañosos, ante la posibilidad de inundaciones y deslizamientos de tierra en la región del norte de Filipinas, que fue golpeada por el super tifón Mangkhut a mediados de septiembre pasado.
En las últimas horas, Yutu se intensificó de tifón categoría 1 a uno Categoría 5, con vientos de 103 km/h, que obligaron este lunes a la cancelación de decenas de vuelos en el Aeropuerto Internacional de Saipan, en Islas Marianas del Norte, en el océano Pacífico occidental.
Notimex

