Prevén ciclón Tropical en el Océano Pacífico para esta noche
Ciudad de México.
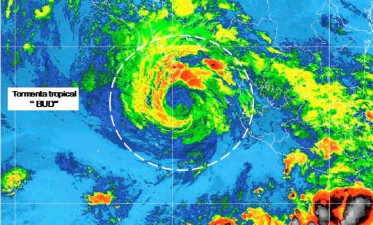
En horas de la noche de hoy o la madrugada del viernes, la Tormenta Tropical Bud se aproxima lentamente hacia Baja California Sur, informó el Servicio Meteorológico Nacional (SMN).
En su cuenta oficial de twitter, el SMN señaló que, la Tormenta Tropical "Bud", se aproxima lentamente hacia Baja California Sur, favoreciendo potencial de tormentas intensas en Baja California Sur, Sinaloa y Michoacán; tormentas muy fuertes en Sonora (sur), Chihuahua (suroeste), Durango (occidente), Nayarit, Jalisco y Guanajuato; y tormentas fuertes en Zacatecas (sur), Aguascalientes y Colima, además de oleaje elevado en las costas de Nayarit, Jalisco y Colima.
Aviso de zona de #BajaPresión en el Océano Pacífico con potencial ciclónico de las 07:15 h, en:https://t.co/WZFRFOavzJ pic.twitter.com/oPrxKGV8oc
— CONAGUA Clima (@conagua_clima) 14 de junio de 2018