TAIPEI.- El tifón Lekima azotó el norte de Taiwán dejando al menos dos muertos, nueve heridos y sin electricidad a más de 80 mil hogares, además de que unos 700 vuelos fueron cancelados o demorados, reportó hoy el Centro de Operaciones de Emergencia de la isla.
Una de las víctimas mortales fue un hombre de 64 años que cayó desde un árbol cuando intentaba cortar las ramas como medida de precaución debido a los intensos vientos de más de 230 kilómetros por hora del súper tifón, de acuerdo con la fuente citada por la Agencia Central de Noticias (CNA).
La compañía Taiwan Power (Taipower) informó este viernes que está trabajando las 24 horas para restaurar la electricidad en más de mil 300 casas después de que Lekima interrumpió durante la noche del jueves al viernes el servicio eléctrico en unos 80 mil 500 hogares en la isla.
Según la empresa eléctrica estatal, las áreas afectadas por el apagón se encuentran en el distrito Shilin de Taoyuan, así como en los distritos de Zhonghe, Dansui y Tucheng en Nueva Taipei.
Además de la cancelación o retraso de cerca de 700 vuelos, el tifón causó graves deslizamientos de lodo en áreas montañosas, según la Oficina de Conservación de Suelos y Agua del Consejo de Agricultura.
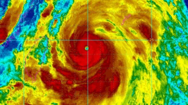
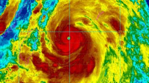
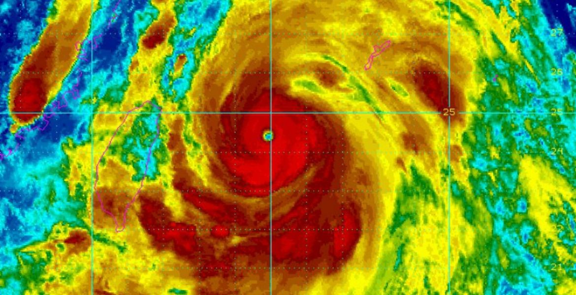
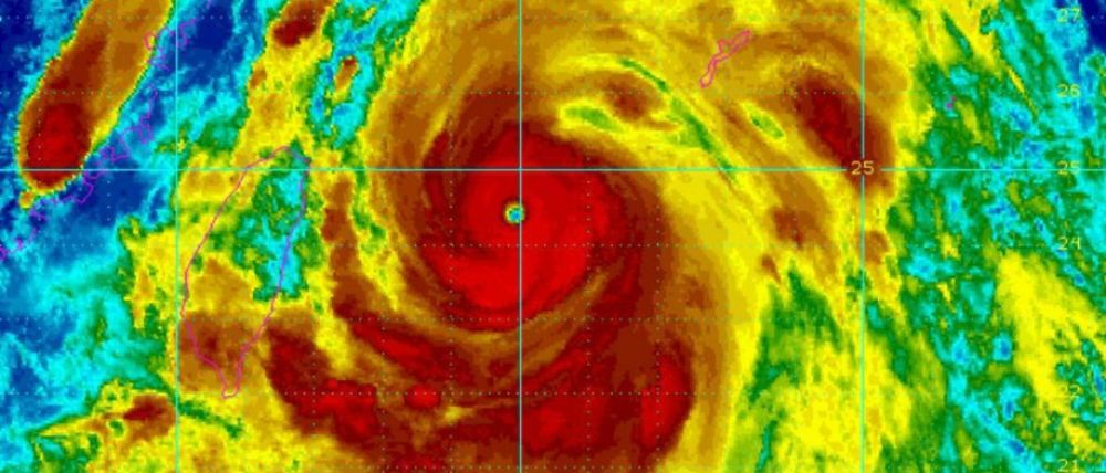
Las alertas amarillas se emitieron para 104 aldeas en el condado de Yilan, el condado de Pingtung, el condado de Miaoli, Taoyuan, Kaohsiung, el condado de Chiayi y New Taipei. Lekima, el noveno tifón del Pacífico de este año, se encontraba esta mañana a unos 270 kilómetros al noreste de Taipei, pero se mueve en dirección noroeste hacia China a una velocidad de 15 kilómetros por hora y con vientos sostenidos de 173 kilómetros por hora, precisó la Oficina Meteorológica Central de Taiwán.
La agencia meteorológica levantó este viernes la alerta terrestre por el tifón, el cual sigue avanzando hacia el noroeste, sin embargo, se espera que la alerta marítima sea levantada el sábado por la mañana.
#AHORA Este es el estado climatológico en China Taiwan, luego de que un tifón con vientos de más de 200 km/h llegara a la costa
— La Unión 800AM (@LaUnionAM) August 9, 2019
-
Recordemos que en Taiwan hay de cerca 200 pyos. El consulado no reportó ningún incidente pese a las grandes tormentas.
.
.
@AdrianaLopezPy pic.twitter.com/BCf1WR5kAc
El Centro Meteorológico de China emitió este viernes una alerta roja ante la proximidad del tifón Lekima, que espera que toque tierra el sábado en la zona costera de la oriental provincia china de Zhejiang, según la agencia de noticias Xinhua.
Lekima adquirió la noche del miércoles pasado la categoría de súper tifón, pero se pronostica que disminuya su intensidad cuando llegue a Zhejiang.
Los tifones golpean regularmente a Taiwán, China, Filipinas y Japón en la segunda mitad del año, y se fortalecen en las cálidas aguas del Océano Pacífico o el Mar del Sur de China antes de debilitarse por tierra.
(Notimex)