Huracán Willa alcanza máxima intensidad cerca de Jalisco y Nayarit
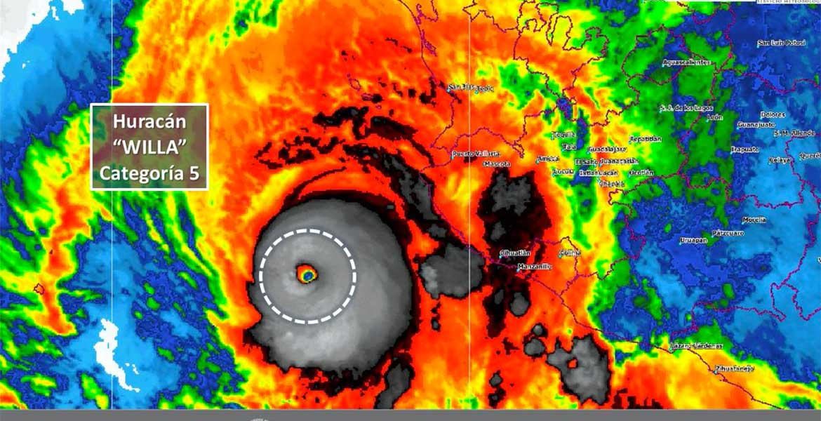
México.- El huracán Willa se intensificó esta mañana a categoría 5, la máxima potencia que puede alcanzar un ciclón en la escala de Saffir Simpson, informó el Servicio Meteorológico Nacional (SMN) a través de su cuenta de Twitter.
El organismo dependiente de la Comisión Nacional del Agua (Conagua) agregó que el meteoro se localiza a 215 kilómetros al sureste de Cabo Corrientes, Jalisco y a 280 kilómetros al sur-suroeste de las Islas Marías, en Nayarit.
Willa sostiene vientos de 260 km/h y rachas de 315 km/h y su desplazamiento es hacia el norte a 11 km/h, alerto el SMN.
10:00 horas:
— CONAGUA Clima (@conagua_clima) 22 de octubre de 2018
OCÉANO #PACÍFICO
El intenso #Huracán #Willa de categoría 5, se localiza a 215 km al suroeste de Cabo Corrientes, #Jalisco y a 280 km al sur-suroeste de las Islas Marías, #Nayarit con #Vientos de 260 km/h, #Rachas de 315 km/h y desplazamiento hacia el norte a 11 km/h. pic.twitter.com/BeMFTDzsxN
Jalisco se prepara ante inminente paso de Willa
La Unidad Estatal de Protección Civil y Bomberos de Jalisco (UEPCBJ) reportó que el huracán Willa categoría 5 se localiza frente a las costas del estado, por lo que realizan recorridos en la costa norte, sur y sierra para alertar e informar a la población.
La dependencia indicó que el huracán Willa se formó el pasado sábado 20 de octubre como la depresión 24-E y se intensificó de manera rápida a tormenta tropical localizándose a 490 kilómetros al sur-suroeste de Manzanillo y 510 kilómetros al suroeste de Lázaro Cárdenas, con vientos de 65 kilómetros por hora, rachas de 85 kilómetros por hora y desplazamiento al oeste a 15 kilómetros por hora.
Señaló que el domingo 21 se intensificó a huracán frente a las costas de Jalisco, por lo que oficiales de la UEPCBJ iniciaron los recorridos de supervisión, vigilancia y alerta a la población sobre la presencia del fenómeno y la posibilidad de realizar una evacuación masiva.
Destacó que durante la madrugada se registraron lluvias en las costas norte y sur sin que hasta el momento se registre alguna afectación. Recomendó a la población mantenerse informada en fuentes oficiales y atender las indicaciones de sus autoridades.
Alerta también en Sinaloa
El Instituto de Protección Civil de Sinaloa, en su cuenta de Twitter, @PC_Sinaloa, informó que el centro, centro-sur y sur de Sinaloa se encuentran en alerta verde del Sistema de Alerta Temprana para Ciclones Tropicales (SIAT-CT) por el huracán Willa.
Señaló que el pleno del Comité Estatal de Protección Civil acordó dar seguimiento puntual al desarrollo del fenómeno meteorológico y realizó diversas acciones de prevención, entre ellas, la suspensión de clases en siete municipios del sur de la entidad.
En tanto, la Secretaría de Educación Pública y Cultura (SEPyC) de Sinaloa anunció que este lunes se suspenden las clases en todos los niveles de escuelas públicas y privadas en Mazatlán, Rosario, San Ignacio, Escuinapa, Concordia, Elota y Cosalá, ante posibles efectos de Willa.
La dependencia indicó que la medida se tomó en atención al seguimiento que el Instituto Estatal de Protección Civil hace del huracán Willa, el cual podría causar afectaciones por lluvias en diversos municipios de la entidad.