'Melissa' toca tierra en Jamaica como huracán categoría 5

Huracán ‘Melissa’

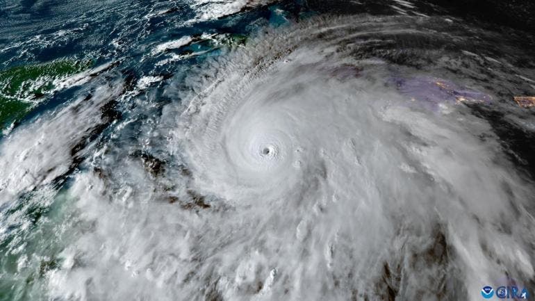
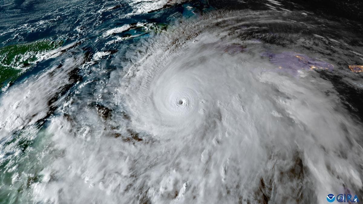
Ciudad de México. – El huracán ‘Melissa’ tocó tierra este martes en Jamaica, con vientos máximos sostenidos cercanos a los 295 kilómetros por hora, lluvias torrenciales y marejadas que podrían provocar inundaciones y daños catastróficos.

El ciclón, el más intenso de esta temporada en el Atlántico, ingresó a Jamaica cerca de la localidad de Black River, en el suroeste de la isla, como huracán de categoría 5, informó el Centro Nacional de Huracanes (NHC, por sus siglas en inglés) de Estados Unidos.

Se espera que Melissa mantenga su fuerza extrema antes de cruzar el sureste de Cuba el miércoles y de llegar a las Bahamas el jueves.

Se trata del primer huracán que toca tierra en el Atlántico como categoría 5 desde 2019, cuando Dorian impactó en Bahamas.

El NHC, con sede en Miami, advirtió que el huracán trae consigo vientos catastróficos y pidió a la población de Jamaica que busque refugio de manera inmediata, ya que se trata de una situación extremadamente peligrosa que amenaza la vida.

Actualmente, Melissa se desplaza a unos 7 kilómetros por hora en dirección nornoreste, lo que podría aumentar la devastación que cause en tierra.

El NHC prevé lluvias acumuladas de entre 38 y 76 centímetros sobre la isla, con máximos que podrían alcanzar hasta 1 metro, provocando inundaciones repentinas y deslizamientos de tierra generalizados.
 

Más fuerte que Katrina


Melissa es más fuerte que el huracán Katrina, que alcanzó la categoría 5 a su paso por el Golfo de México y arrasó el sur de Estados Unidos en 2005.

Las autoridades jamaicanas instaron a la población a permanecer en refugios seguros, ante la inminencia de vientos devastadores que podrían causar "fallos estructurales totales", especialmente en zonas montañosas donde las ráfagas pueden ser hasta un 30 % más fuertes.

El NHC mantiene alertas de huracán para toda Jamaica, las provincias orientales de Cuba -Granma, Santiago de Cuba, Guantánamo y Holguín-, así como para las Bahamas centrales y del sureste.

Haití, Las Tunas (Cuba) y las islas Turcos y Caicos permanecen bajo aviso de tormenta tropical.

Al menos nueve personas han muerto hasta el momento a causa de los vientos y lluvias asociados a Melissa, tres de ellos en Jamaica, otros tres en Haití, dos en Panamá y uno en República Dominicana.

Aunque se trata del tercer huracán de categoría 5 de la temporada en el Atlántico, después de Erin y Humberto, Melissa es el primero que toca tierra. 

Con información de EFE
 

Síguemos en Google News