Huracán Sam alcanza categoría 3 en aguas abiertas del Atlántico
MIAMI.- El huracán Sam alcanzó este sábado la categoría 3 de la escala Saffir-Simpson, con vientos máximos sostenidos de 195 km/h, y cobrará más fuerza mientras avanza sobre aguas abiertas del Atlántico sin entrañar por ahora peligro para tierra.
Según el más reciente boletín del Centro Nacional de Huracanes (NHC) de EE.UU., Sam alcanzará categoría 4 este domingo.
Actualmente está localizado cerca de mil 760 km por hora al este sureste del norte de las islas de Sotavento y se mueve en dirección oeste-noroeste a 170 km/h.
La marejada generada por el huracán empezará a llegar a la Antillas Menores a comienzos de la próxima semana.
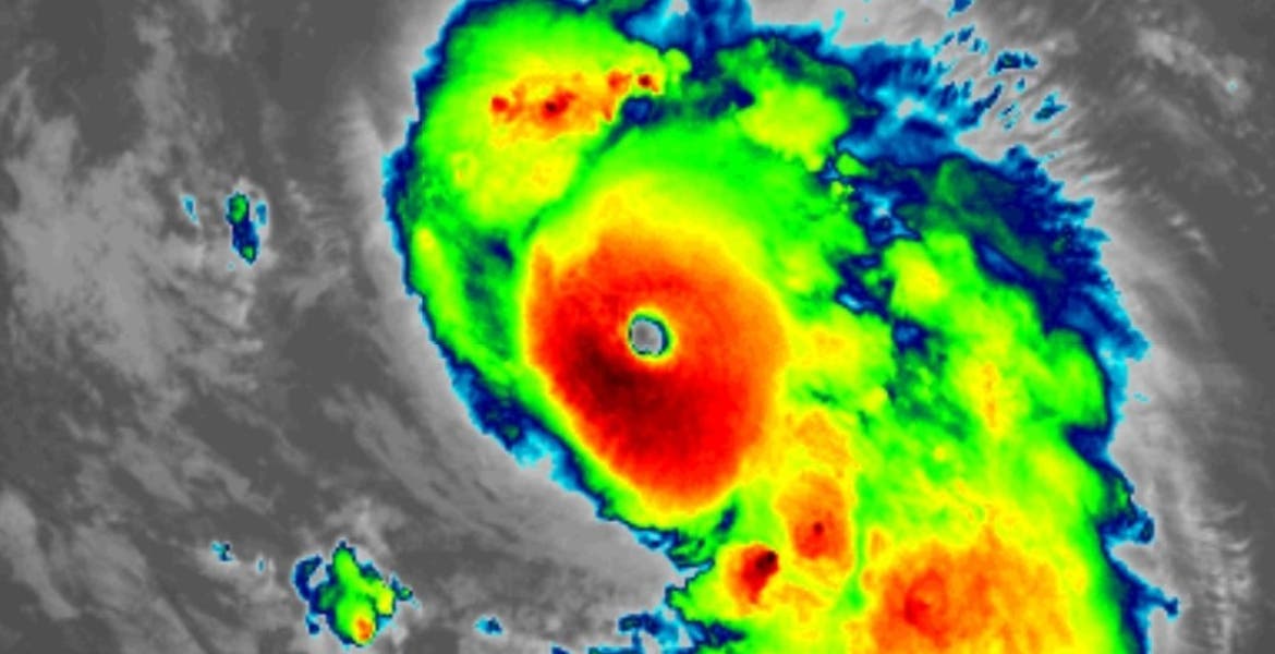
{Huracán Sam 11 AM}
— CycloforumsPR (@CycloforumsPR) September 25, 2021
Sigue intensificándose y es categoria 3 con vientos de 120 mph. Se mueve al oestenoroeste a 285 grados a 10 mph. Su centro se ubicaba en la 12.9N 47.6W a 1,095 millas de islas Sotavento norte. La trayectoria general sigue sin cambio notable. 1/3
LMR pic.twitter.com/HAOwHhrdtL
Por ahora no hay vigilancias ni avisos costeros en efecto por la presencia de Sam en la cuenca atlántica, que está teniendo una temporada ciclónica más activa de lo normal, tal como pronosticaron los expertos.
De la lista de nombres para 2021 solo quedan por usar Víctor y Wanda y aún quedan por delante dos meses de temporada ciclónica.
Se espera que Sam haga un movimiento más lento hacia el oeste noroeste durante el fin de semana, seguido por un giro hacia el noroeste el lunes.
Sam es un huracán fuerte pero poco extenso. Los vientos con intensidad de huracán se extienden hasta 35 km del centro y los vientos con fuerza de tormenta tropical se extienden hasta 165 km, dijo el NHC.
En cuanto a la tormenta subtropical Teresa, que se formó este viernes cerca de las islas Bermudas, el NHC indicó que está poco organizada y se espera que esta noche sea solo un remanente de bajas presiones y el domingo se haya disipado.
Teresa está localizada unos 225 km al norte de las Bermudas y se mueve hacia el oeste-noroeste lentamente con vientos máximos sostenidos de 55 km por hora sin amenazar a tierra.
DVC